gtag('consent', 'update', {'ad_user_data': 'granted','ad_personalization': 'granted','ad_storage': 'granted','analytics_storage': 'granted' });
Group 88.jpg

Bouw uw droomvilla in de prestigieuze wijk El Portet, Moraira – Exquisite locatie met uitzicht op zee

Prijs

€800.000

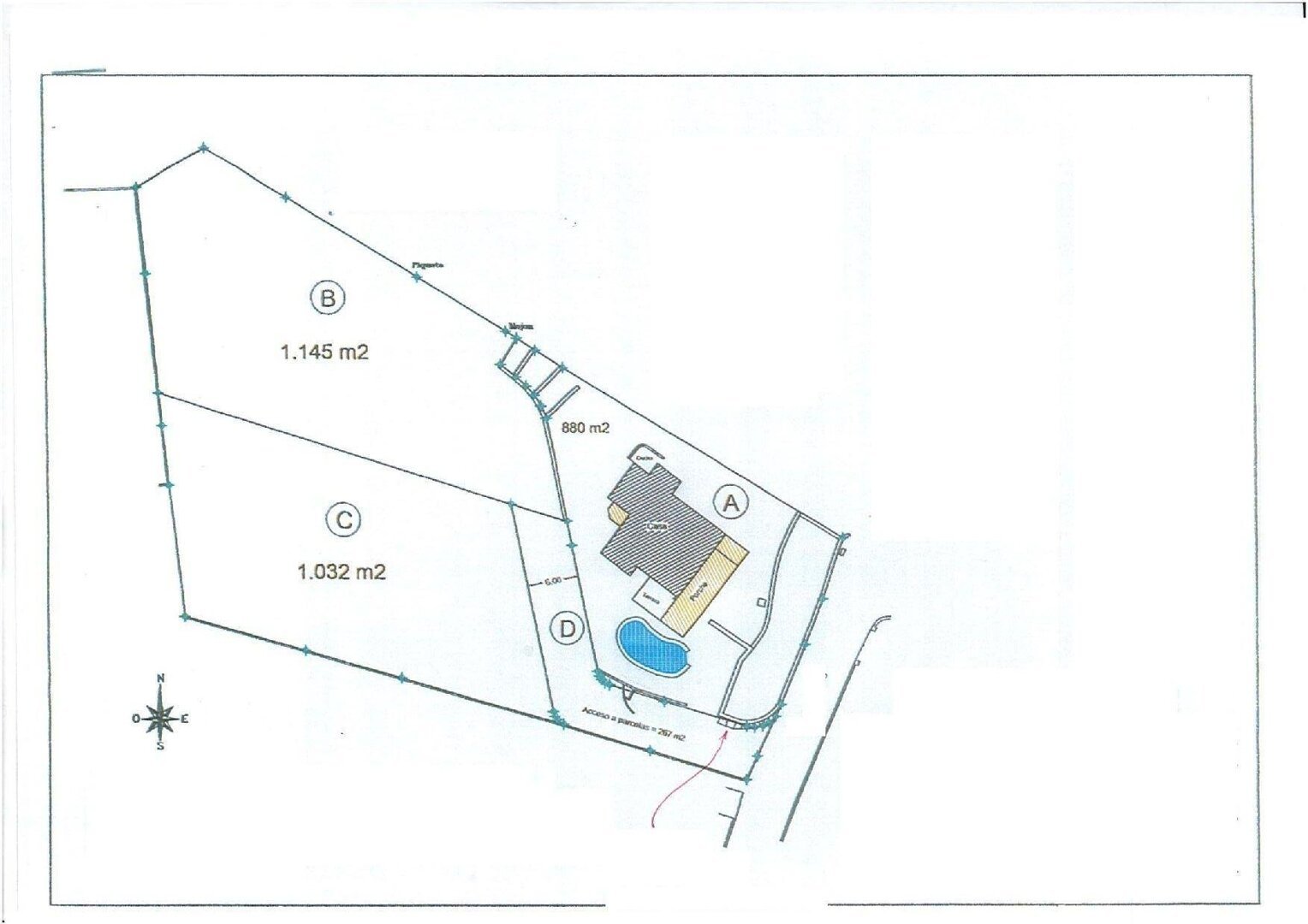
Perceeloppervlakte 2177m2

Omschrijving

Bouw uw droomvilla in de prestigieuze wijk El Portet, Moraira – Exquisite locatie met uitzicht op zee

Een zeldzame kans voor de bouw van een luxe villa in El Portet, Moraira
Ontdek de mogelijkheid om een unieke woning te creëren in een van de meest gewilde buurten van Moraira. Dit uitstekende perceel in El Portet biedt een idyllische locatie met een panoramisch uitzicht op de Middellandse Zee. Het perceel biedt ultieme privacy en is omgeven door weelderige natuur, waardoor het de perfecte plek is voor het bouwen van een luxe villa.

Flexibele indeling voor op maat gemaakte woningen
Het perceel van 2.177 m² kan op verschillende manieren worden ingedeeld, afhankelijk van uw wensen. Het kan worden behouden als één groot perceel, of het kan worden verdeeld in twee afzonderlijke percelen van 1.145 m² en 1.032 m². Deze veelzijdigheid biedt de mogelijkheid om het stuk grond aan te passen aan uw eigen visie voor de woning van uw dromen. Of u nu een enkele villa wilt bouwen of twee woningen, de keuze is aan u.

Adembenemend uitzicht en een uitstekende oriëntatie op de zon
Een van de meest aantrekkelijke kenmerken van dit perceel is het uitzicht op zee. Stel u voor dat u elke ochtend wakker wordt met het rustige geluid van de oceaan en geniet van het verfrissende zeewindje terwijl u uitkijkt over het glinsterende water. Het perceel heeft een uitstekende oriëntatie op de zon, waardoor uw toekomstige villa het hele jaar door geniet van volop natuurlijk licht.

De ideale locatie in Moraira
El Portet is een van de meest prestigieuze wijken in Moraira, bekend om zijn exclusieve karakter en rustige sfeer. Het perceel ligt op slechts een korte loopafstand van het strand, waar u kunt genieten van het kristalheldere water, en van het charmante centrum van Moraira, met zijn gezellige restaurants, winkels en cafés. Deze locatie biedt het beste van twee werelden: de sereniteit van de natuur en de nabijheid van het bruisende leven in het centrum.

Creëer uw ideale villa in El Portet
Dit is een uitgelezen kans om een op maat gemaakte woning te bouwen op een top locatie in El Portet, waar luxe en natuur elkaar perfect aanvullen. Of u nu droomt van een moderne villa met een strakke uitstraling of een klassiek ontwerp dat harmonieus aansluit bij de natuurlijke omgeving, dit perceel biedt de perfecte basis voor uw visie.

Laat deze unieke kans om een stukje paradijs in El Portet te bezitten niet voorbijgaan. Neem contact op met VossenCasas voor meer informatie over dit exclusieve perceel en ontdek de mogelijkheden om uw droomhuis te realiseren aan de Costa Blanca Noord.

Details
Kenmerken

Details

Prijs €800.000
Type object Perceel
Referentienummer 12200VCMI
Plaatsnaam Moraira
Regio Alicante

Kenmerken

Perceeloppervlakte 2177m2
Zwembad Nee
Garage Nee
Tuin Nee
Peter Vos
Makelaar
Reageer op dit object
Deel dit object via social media